Description
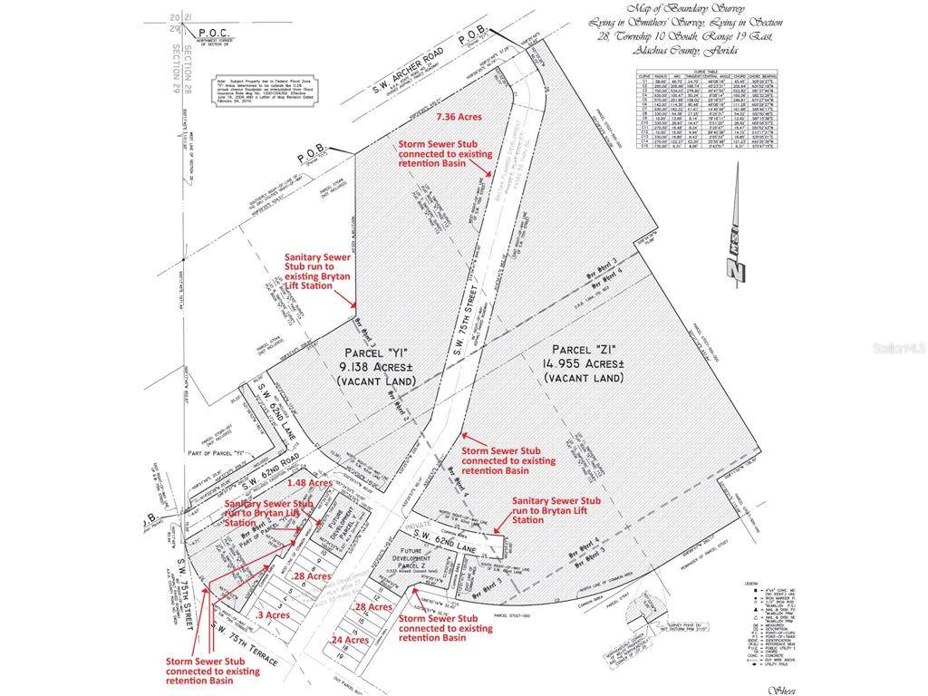
This offering consists of approximately 4 acres, identified as Parcel D in the attached exhibit. Additional contiguous acreage is available and may be purchased separately from the seller. This is an outstanding mixed-use commercial development opportunity located at the high-traffic SW corner of Archer Road and Tower Road. It connects to a UF Health emergency room. The site is ideal for medical offices, QSR or full-service restaurant, bank, pharmacy, gas station, retail, and family entertainment uses. The property can be subdivided into parcels, allowing for pad sales, phased development, or multi-tenant strategies. The seller can also develop pad ready sites for land-lease tenants. The site has the following infrastructure already built: major roads, stormwater basins, sewer lift station, water, electric, gas, and fiber-optic internet already in place—significantly reducing development costs and timelines. Traffic counts include approximately 30,000 AADT on Archer Road and 17,500 AADT on Tower Road, providing excellent exposure and access. Located just 2.5 miles from the I-75 interchange, the property benefits from strong regional connectivity. The surrounding area is anchored by dense and expanding residential development, including the Brytan PD and Grand Preserve PD, encompassing approximately 200 acres, with 300,000 SF of commercial space and 940 homes planned. The trade area includes 135,383 residents and 52,948 households within a 15-minute drive, supporting long-term tenant demand and investor returns. Listing agent is related to the seller.
-
0BEDS
-
4ACRES
-
0BATHS
-
01/2 BATHS
School Ratings & Info
Description
This offering consists of approximately 4 acres, identified as Parcel D in the attached exhibit. Additional contiguous acreage is available and may be purchased separately from the seller. This is an outstanding mixed-use commercial development opportunity located at the high-traffic SW corner of Archer Road and Tower Road. It connects to a UF Health emergency room. The site is ideal for medical offices, QSR or full-service restaurant, bank, pharmacy, gas station, retail, and family entertainment uses. The property can be subdivided into parcels, allowing for pad sales, phased development, or multi-tenant strategies. The seller can also develop pad ready sites for land-lease tenants. The site has the following infrastructure already built: major roads, stormwater basins, sewer lift station, water, electric, gas, and fiber-optic internet already in place—significantly reducing development costs and timelines. Traffic counts include approximately 30,000 AADT on Archer Road and 17,500 AADT on Tower Road, providing excellent exposure and access. Located just 2.5 miles from the I-75 interchange, the property benefits from strong regional connectivity. The surrounding area is anchored by dense and expanding residential development, including the Brytan PD and Grand Preserve PD, encompassing approximately 200 acres, with 300,000 SF of commercial space and 940 homes planned. The trade area includes 135,383 residents and 52,948 households within a 15-minute drive, supporting long-term tenant demand and investor returns. Listing agent is related to the seller.
© 2026 My Florida Regional MLS DBA Stellar MLS. All rights reserved. All listings displayed pursuant to IDX. All listing information is deemed reliable but not guaranteed and should be independently verified through personal inspection by appropriate professionals. Listings displayed on this website may be subject to prior sale or removal from sale; availability of any listing should always be independently verified. Listing information is provided for consumers personal, non-commercial use, solely to identify potential properties for potential purchase; all other use is strictly prohibited and may violate relevant federal and state law. Data last updated 2026-04-16T23:47:08.463.
